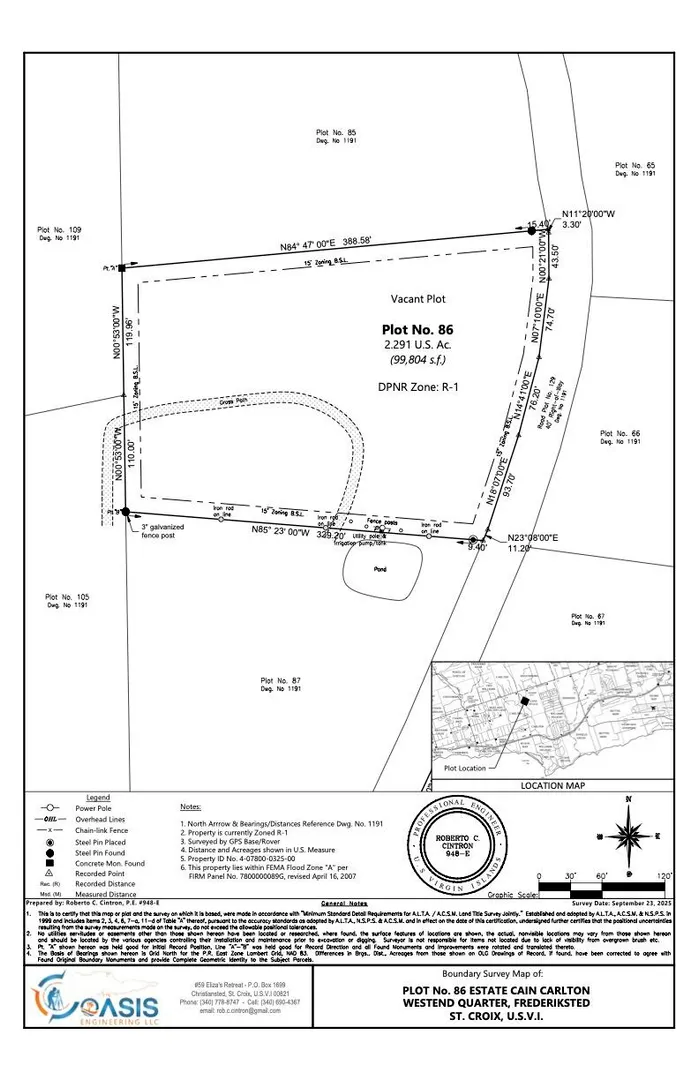
Highlights of 86 Carlton We
- Lot Acres
- 2.29
- Quarter
- West End
- Sub Type
- Homesite (.5 +)
- MLS #
- 25-1992
- Status
- Closed
-
Property Description
Discover the potential of this spacious 2.29-acre R-2 zoned homesite, perfectly suited for building your dream residence or developing a multi-unit project. Ideally located near the Melvin Evans Highway, the property offers easy access to major routes while still providing a peaceful, private setting surrounded by nature.The proceeds will be used in support of the Trust for Virgin Islands Lands.. mission.
-
Additional Info
- Intended Use: Other
- Zoning: R-2
- Restrictions: Of Record
-
Fees and Taxes
- Tax Year: 2025
- Taxes: 301.71
Listing courtesy of Calabash Real Estate, (340) 718-5285.
Map
86 Carlton We, West End St. Croix, 00840
Loading Map...
86 Carlton We
