Artboard 1? alert-icon? Artboard 1? ? ? delete-icon? edit-icon? email-icon hide-hover-icon? Artboard 1? login-icon-white Artboard 1? next-icon-left next-icon-right-left next-icon-left-ochre next-icon next-icon-right-grey next-icon-right-ochre plus-with-circle-iconP search-fw-icon? search-icon-ochre search-icon-white

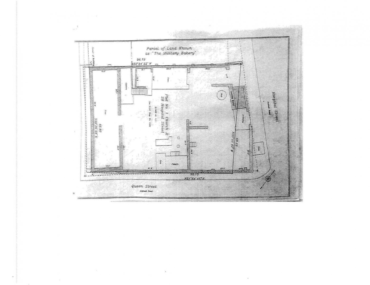
28 Hospital Street Ch

Christiansted, St. Croix, 00820
$369,000
0.14 Acre Lot

Highlights of 28 Hospital Street Ch

Lot Acres
0.14
Quarter
Christiansted
Sub Type
Slab
MLS #
22-1746
Status
Closed
  • Property Description
    Own a piece of Cruzan history! Originally the officer's quarters of the Fort, this downtown gem is ready to be restored! Lot consists of three buildings and runs from Hospital St all way to Church St.. In the 50's it was a general store & in the 70's the famous Captain Week's Restaurant! Excellent business opportunity for the right investor - zoning allows for supermarket, nightclub, bar/restaurant, retail shop and more! One block away from our picturesque harbor and boardwalk - PRIME LOCATION! Owner financing available to qualified buyer with these terms: $100K down, balance at 9% interest with 1 point
  • Additional Info
    • Intended Use: Other
    • Zoning: B-1
    • Restrictions: Yes
  • Fees and Taxes
    • Tax Year: 2024
    • Taxes: 59.01

Listing courtesy of Farchette & Hanley Real Estate, (340) 277-1364.

  • This field is for validation purposes and should be left unchanged.

Map

28 Hospital Street Ch, Christiansted St. Croix, 00820

Loading Map...

28 Hospital Street Ch

Similar Listings

SOLD
18a & B King Street Ch 1
15 Photos
SOLD
50 Et Al Strand Street Ch 1
26 Photos
SOLD
4 & 5 Orange Grove Co 1
37 Photos
SOLD
9-aa La Grande Princesse Co 1
44 Photos
Picture of an interior
Picture of an interior
Picture of an interior
Picture of an interior
Picture of an interior
Picture of an interior
Picture of an interior
Picture of an interior
Picture of an interior
Picture of an interior
  • This field is for validation purposes and should be left unchanged.

By joining you agree to our Terms of Use and Privacy Policy


International Partners