Artboard 1? alert-icon? Artboard 1? ? ? delete-icon? edit-icon? email-icon hide-hover-icon? Artboard 1? login-icon-white Artboard 1? next-icon-left next-icon-right-left next-icon-left-ochre next-icon next-icon-right-grey next-icon-right-ochre plus-with-circle-iconP search-fw-icon? search-icon-ochre search-icon-white

6 Butler's Bay We

Northside 'a', St. Croix, 00840
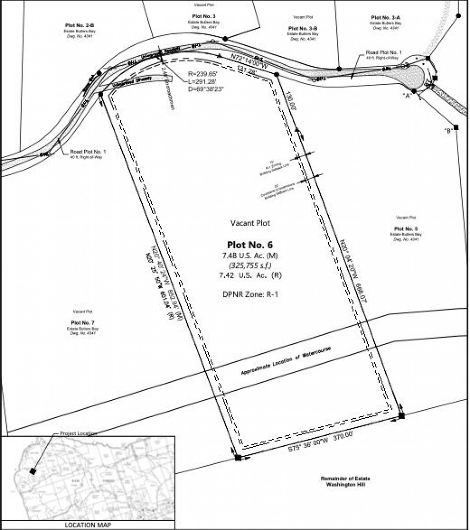
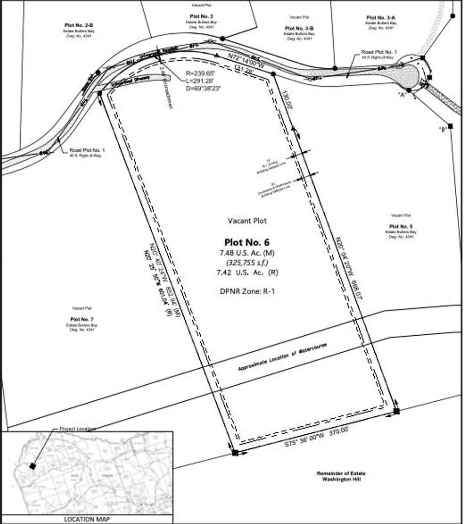
$549,000
7.4 Acre Lot

Highlights of 6 Butler's Bay We

Lot Acres
7.40
Quarter
Northside 'A'
Sub Type
Undeveloped (5-20 AC)
MLS #
24-1928
Status
Closed
  • Property Description
    You couldn't ask for more than this estate sized 7.4 acre lot with 180 degree panoramic ocean views. Providing ample privacy with few neighbors this property is situated at the top of Prospect Hill. The knoll top acreage is cleared and very buildable with land sloping off to the watershed below where a waterfall can be found during rainy days. A 5 minute drive to secluded sandy beaches, snorkeling, jet-skiing and world class dive sites. Less than 10 minutes to historic Frederiksted with restaurants, stores and more sandy beaches.Development allows for a luxury main dwelling with apartment, a garage with apartment, as well as a pool and separate guest cottage. The lot could also be split into two 3+ acre plots.All this for a bargain price! Own your piece of paradise today.
  • Additional Info
    • Intended Use: Other
    • Zoning: R-1
    • Restrictions: Of Record
  • Amenities
    • Furnished: Yes
  • Fees and Taxes
    • HOA Frequency: Annually
    • Taxes: 814.11
    • Tax Year: 2021

Listing courtesy of Clear Water Realty, (844) 932-5327.

  • This field is for validation purposes and should be left unchanged.

About this area
Northshore A & B St. Croix Real Estate Guide

About The Northshore of St. Croix St. Croix’s North Shore is comprised of two quarters, Northside A and Northside B. As you can observe on a map, these quarters are long and skinny – meaning there is an abundance of true St. Croix waterfront homes for sale and properties with ocean views. St. Croix condos are also available here with sweeping...

Price Range: $825,000 - $3,650,000

Map

6 Butler's Bay We, Northside 'a' St. Croix, 00840

Loading Map...

Picture of an interior
Picture of an interior
Picture of an interior
Picture of an interior
Picture of an interior
Picture of an interior
Picture of an interior
Picture of an interior
Picture of an interior
Picture of an interior
  • This field is for validation purposes and should be left unchanged.

By joining you agree to our Terms of Use and Privacy Policy


International Partners